Bouwgrond
€ 150.000

2400 Mol

Omschrijving Ref.: 6963387

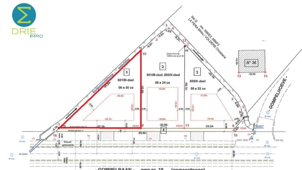
Perceel bouwgrond van 650m² gelegen aan de Gompelbaan in Mol. Dit perceel is voor de oprichting van een vrijstaande woning met tuin gericht op het zuiden. Het perceel heeft een schuine zijde waarlangs een waterloop loopt, wat zorgt voor een natuurlijk karakter. Centrale ligging nabij station en centrum.

Algemeen:
* Grondoppervlakte: 650m²
* Straatbreedte: 37,10m
* 201m² bebouwbare oppervlakte
* Zuid georiënteerd
* Geen bouwverplichting


Uw contact

Vragen over deze eigendom ref: 6963387
contact

Details van het pand

Financieel

Prijs
€ 150.000,00

Terrein

Grondoppervlakte
650,00 m²
Terreindiepte
35,06 m

Stedenbouw

Bestemming
Niet meegedeeld
Bouwvergunning
Niet meegedeeld
Verkavelingsvergunning
Ja
Voorkooprecht
Niet meegedeeld
Dagvaarding
Niet meegedeeld
O-peil
Effectief overstromingsgevoelig gebied

Meer info over deze eigendom

Bedankt voor je bericht, we contacteren je zo spoedig mogelijk.
Er was een probleem bij het versturen van het formulier, gelieve opnieuw te proberen.
U moet de algemene voorwaarden aanvaarden om dit bericht te kunnen verzenden
(*) Gelieve de verplichte velden in te vullen.