Bouwgrond
€ 168.000

2400 Mol

Omschrijving Ref.: 6963383

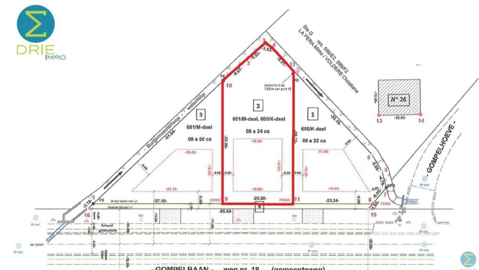
Dit perceel bouwgrond, gelegen aan de Gompelbaan in Mol, van 824m² biedt de mogelijkheid om een vrijstaande woning te bouwen met tuin georiënteerd op het zuiden. Achteraan het perceel bevindt zich een waterloop en zicht op groen.
Centrale ligging nabij station en centrum.

Algemeen:
* Grondoppervlakte: 824m²
* Straatbreedte: 20m
* 210m² bebouwbare oppervlakte
* Zuid georiënteerd
* Geen bouwverplichting


Uw contact

Vragen over deze eigendom ref: 6963383
contact

Details van het pand

Financieel

Prijs
€ 168.000,00

Ligging

Buurt
Stadsrand

Terrein

Grondoppervlakte
824,00 m²
Terreindiepte
35,00 m

Stedenbouw

Bestemming
Niet meegedeeld
Bouwvergunning
Niet meegedeeld
Verkavelingsvergunning
Ja
Voorkooprecht
Niet meegedeeld
Dagvaarding
Niet meegedeeld
O-peil
Effectief overstromingsgevoelig gebied
P-score
D

Meer info over deze eigendom

Bedankt voor je bericht, we contacteren je zo spoedig mogelijk.
Er was een probleem bij het versturen van het formulier, gelieve opnieuw te proberen.
U moet de algemene voorwaarden aanvaarden om dit bericht te kunnen verzenden
(*) Gelieve de verplichte velden in te vullen.