Bouwgrond
€ 140.000

2400 Mol

Omschrijving Ref.: 6963364

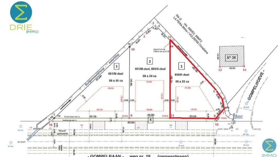
Perceel bouwgrond van 632m², gelegen aan de Gompelbaan in Mol.

Perceel grond voor het bouwen van een vrijstaande woning. Het perceel heeft een zuidelijke oriëntatie en een waterloop langs de schuine zijde.
Centrale ligging nabij station en centrum.

Algemeen:
* Grondoppervlakte: 632m²
* Straatbreedte: 23,24m
* 185m² bebouwbare oppervlakte
* Zuid georiënteerd
* Geen bouwverplichting


Uw contact

Vragen over deze eigendom ref: 6963364
contact

Details van het pand

Financieel

Prijs
€ 140.000,00
Onder BTW stelsel
Nee

Ligging

Buurt
Stadsrand

Terrein

Grondoppervlakte
632,00 m²
Terreindiepte
38,12 m

Stedenbouw

Bestemming
Woongebied
Bouwvergunning
Nee
Verkavelingsvergunning
Ja
Voorkooprecht
Nee
Dagvaarding
Nee
O-peil
Effectief overstromingsgevoelig gebied
Vonnissen
Nee

Meer info over deze eigendom

Bedankt voor je bericht, we contacteren je zo spoedig mogelijk.
Er was een probleem bij het versturen van het formulier, gelieve opnieuw te proberen.
U moet de algemene voorwaarden aanvaarden om dit bericht te kunnen verzenden
(*) Gelieve de verplichte velden in te vullen.